Verkocht onder voorbehoud

Herenhuis te koop in Noord-Brabant - Hulder 10, Vierlingsbeek

Herenhuis in Noord-Brabant
€ 895.000
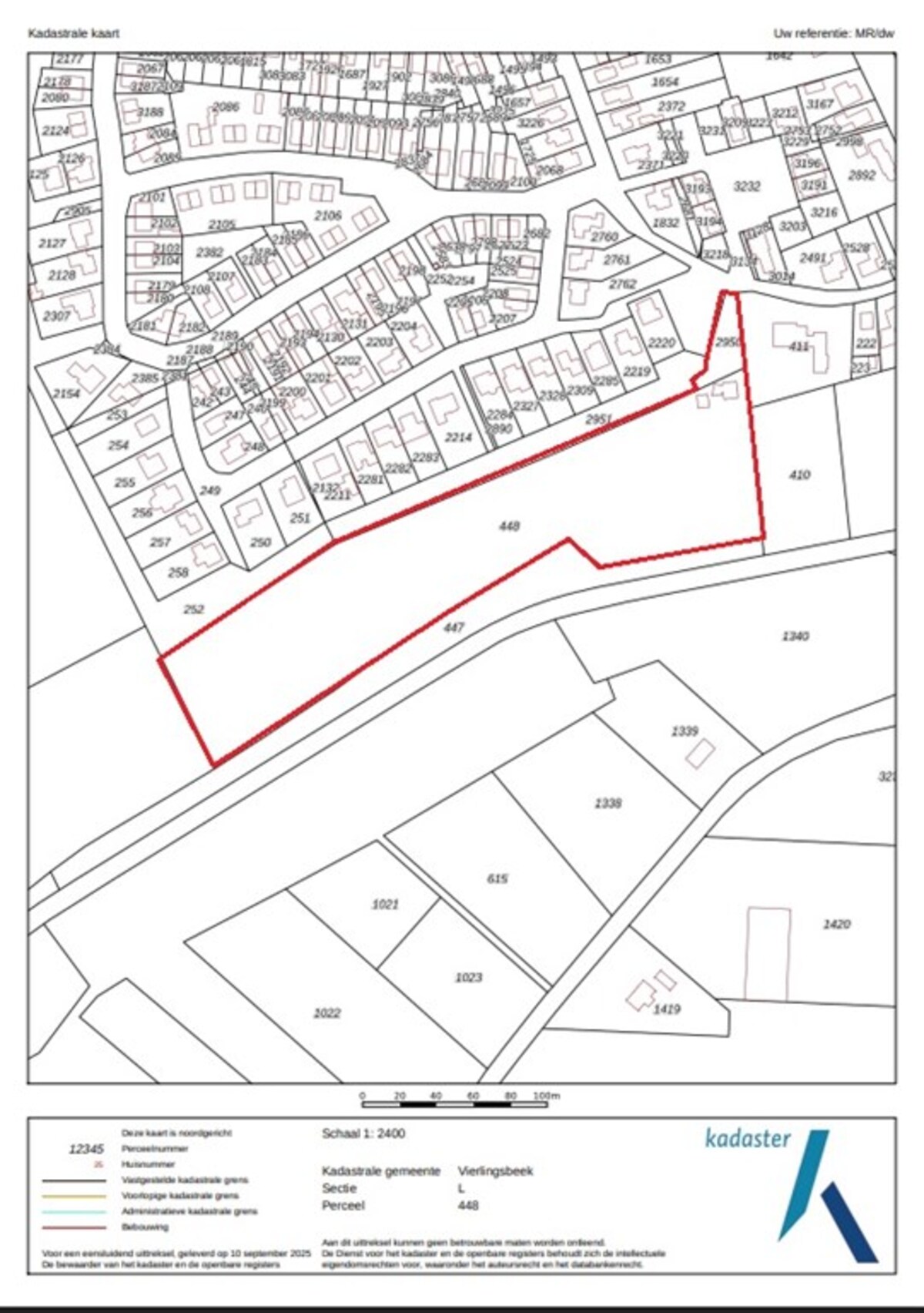
22805 m² perceel
200 m² wonen
3 kamers

Herenhuis in Noord-Brabant!

Meerdere werelden in één: rust, ruimte, natuur én dichtbij de dorpskern



Aan de rand van het prachtige natuurgebied De Maasheggen, op een unieke en natuurinclusieve locatie, treft u dit veelzijdige object aan. Momenteel ingericht als Avonturentuin. Het perceel van circa 2,2 hectare biedt een oase van rust, biodiversiteit en eindeloze mogelijkheden. Of u nu paardenliefhebber bent, droomt van kleinschalige recreatie of natuurgedreven ondernemerschap ambieert – hier kan het allemaal.



Het terrein grenst direct aan ruiterroutes en wandelpaden, waardoor de natuur letterlijk aan uw voeten ligt. Tegelijkertijd bevindt u zich op korte afstand van de dorpskern, waar u alle dagelijkse voorzieningen binnen handbereik heeft.



Aan de rustige straat genaamd ‘Hulder’ bevindt zich de bijbehorende, royaal opgezette eengezinswoning met een vrijstaand gastenverblijf/kantoorruimte. Met een woonoppervlakte van circa 200 m², een doordachte indeling én duurzame installaties is dit een woning die klaar is voor de toekomst.



Mogelijkheden om alleen de woning of alleen de avonturentuin te kopen zijn bespreekbaar.



Indeling van de woning:



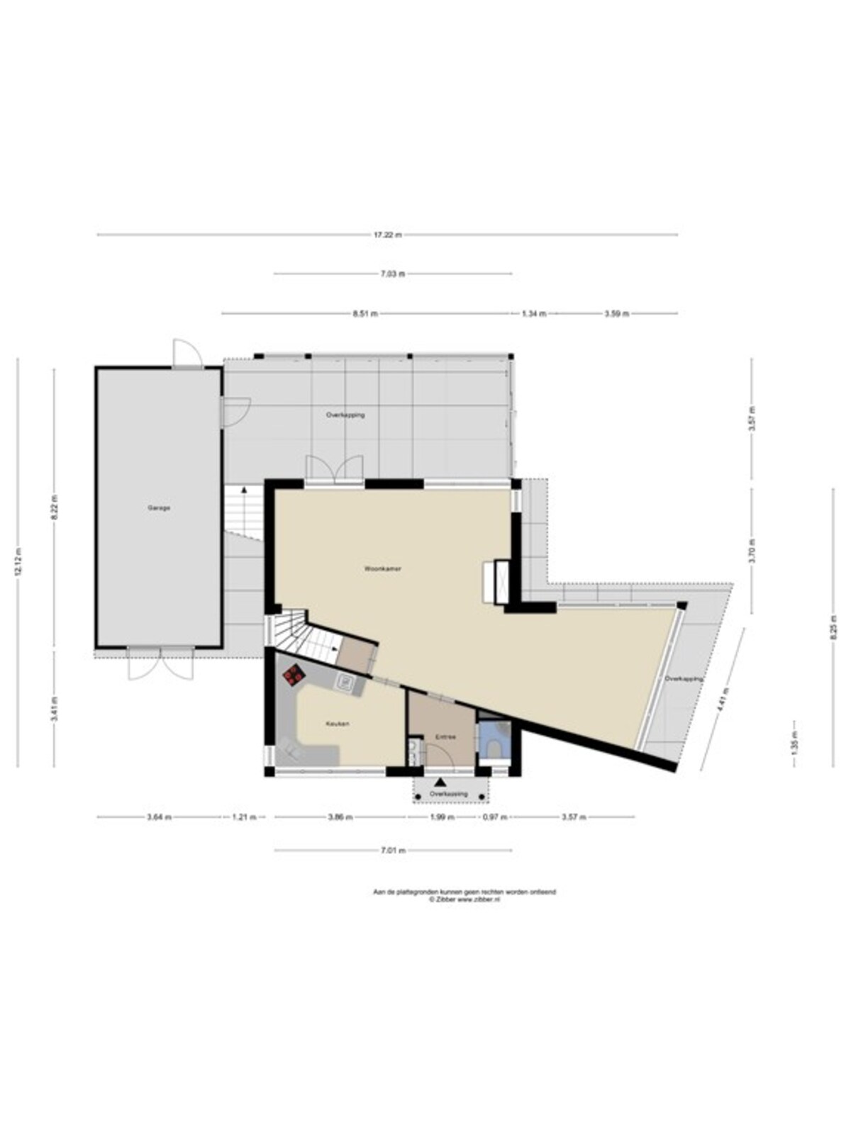
Begane grond

Via een oprijlaan bereikt u de woning. Hier vindt u voldoende parkeergelegenheid en toegang tot de garage. U betreedt de woning via een ruime entree met garderobe, meterkast en toilet.



De lichte woonkamer is een aangename leefruimte met grote raampartijen, vloerverwarming, airco en een sfeervolle houtkachel. Aan de achterzijde is de woonkamer verruimd met een prachtige serre over de volledige breedte van de woning, waardoor binnen en buiten naadloos in elkaar overgaan. De serre geeft overigens ook toegang tot de garage.



De keuken is opgesteld in een praktische U-vorm en uitgerust met moderne inbouwapparatuur. Vanuit hier kijkt u uit over de oprijlaan.



Souterrain

Vanuit de woonkamer heeft u toegang tot het souterrain. Deze verrassend ruime verdieping beschikt over een separate entree, twee slaapkamers, voorzien van vloerbedekking en een technische ruimte met aansluitingen voor het witgoed.



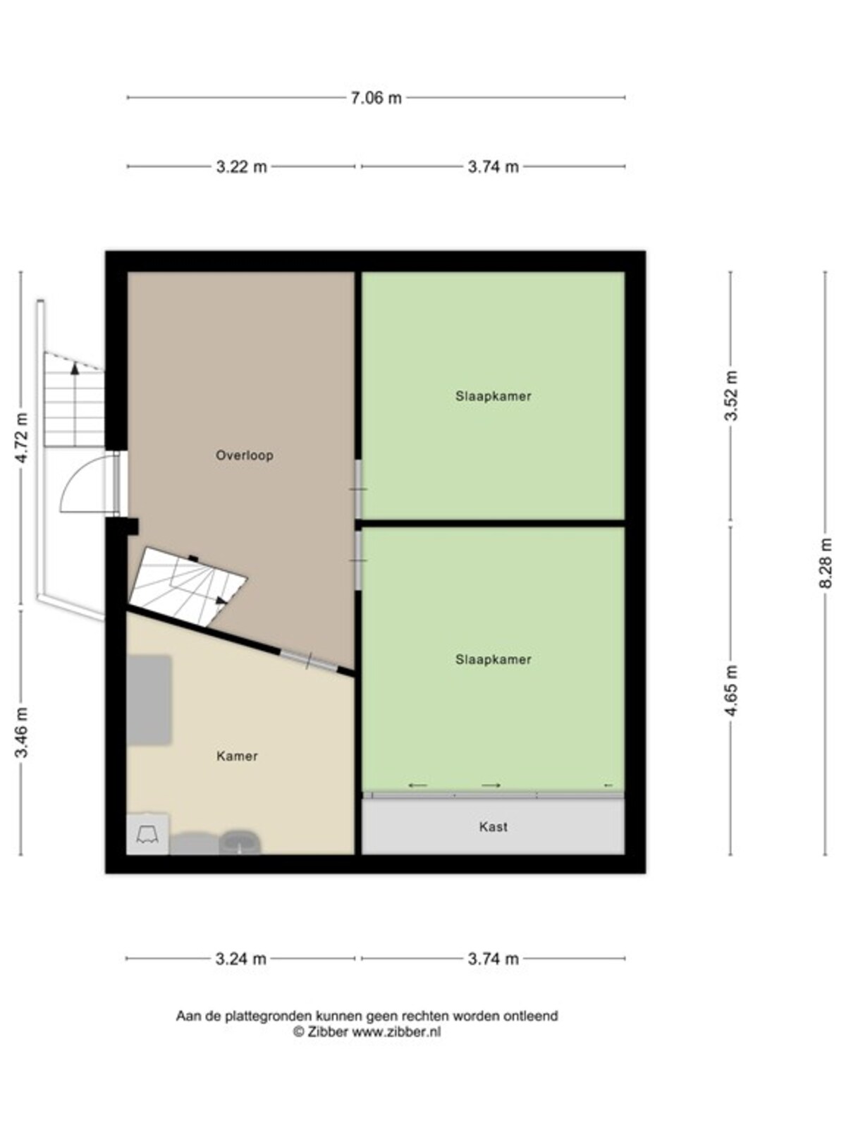
Eerste verdieping

Een open trap leidt naar de eerste verdieping, waar u twee ruime slaapkamers aantreft. Eén slaapkamer is voorzien van een grote kastenwand met schuifdeuren. De andere slaapkamer heeft tevens toegang tot de technische ruimte. De badkamer is volledig betegeld en voorzien van een ligbad, douche, toilet en wastafel.



Algemene informatie

Deze woning is gebouwd in 1997, in 2004 uitgebouwd en in 2023 verder verduurzaamd. Dankzij de combinatie van speelse architectuur en moderne voorzieningen geniet u hier van comfort en karakter.



Duurzaamheid & Installaties

- Energielabel A+

- 18 zonnepanelen (2023)

- Gedeeltelijke vloerverwarming

- Lucht/water warmtepomp (2023)

- Aluminium kozijnen met dubbele beglazing en screens

- 2x airco (2023)

- Gasloos wonen



Gastenverblijf / Kantoorruimte

Op het perceel bevindt zich een vrijstaand bijgebouw (gebouwd in 2004), dat in 2024 volledig is verduurzaamd en omgetoverd tot een comfortabel gastenverblijf. Deze ruimte leent zich echter ook uitstekend voor gebruik als kantoor of praktijk aan huis. Het gebouw beschikt over een woonkamer met keuken/pantry, een kastenwand, een badkamer met inloopdouche, toilet en fonteintje, én een airconditioning voor comfortabel binnenklimaat. Via een losse trap is de vide bereikbaar, wat extra gebruiksruimte biedt.



De openslaande tuindeuren bieden een prachtig uitzicht over de omliggende landerijen. Dankzij de separate ingang is dit bijgebouw uitstekend geschikt voor professioneel gebruik aan huis.



Wat biedt de avonturentuin?

- Professioneel aangelegde 4-seizoenen pleinen, paddocks en paden (ruim 1,5 km) met natuurlijke waterafvoer.

- 10 verschillende ondergronden voor optimale hoefslijtage en beweging stimulans

- Natuurspeeltuin en ruime parkeergelegenheid op eigen terrein

- Hagen, solitaire bomen, vogelbosjes, bloemen en kruidenborders en kruidenrijke graslanden

- Aansluiting op buitenrijroutes (ruiter- en men-netwerk)

- Rustige ligging aan een eenrichtingsweg, met directe verbinding naar natuur en buitengebied

- De perfecte plek voor wie natuur, dierenwelzijn en buitenleven wil combineren.



Omgevingsplan

Vierlingsbeek, gemeente Boxmeer, geheel onherroepelijk in werking (vastgesteld 25-04-2013). Bestemming ‘Wonen’ en ‘Waarde – Archeologie 3’.

Veegplan Buitengebied 2018, Gemeente Boxmeer, deels onherroepelijk in werking (vastgesteld 30-04-2020). Bestemming ‘Natuur’ en ‘Agrarisch’.

Voor meer informatie kunt u het omgevingsloket raadplegen, of neem gerust contact met ons op.



Omgeving

Vierlingsbeek is een charmant dorp in de gemeente Land van Cuijk, gelegen op korte afstand van de Maas. Het dorp ligt aan de voet van het bijzondere natuurgebied "de Maasheggen" en is bovendien een tussenstop op de beroemde langeafstandswandelroute "Pieterpad". Vierlingsbeek biedt alle essentiële voorzieningen, waaronder een supermarkt, apotheek, basisschool, huisarts, tandarts, fysiotherapeut en diverse horecagelegenheden. De bereikbaarheid is uitstekend, met snelle verbindingen naar de A73, op slechts 3 kilometer afstand, richting Nijmegen en Venlo. Beide steden zijn binnen 20 tot 25 minuten met de auto te bereiken. Bovendien beschikt het dorp over een treinstation, wat het ook gemakkelijk maakt om met het openbaar vervoer te reizen. Vanuit Vierlingsbeek is er bovendien een pontverbinding naar het Limburgse Bergen.



Samengevat

Deze unieke woonplek combineert rust, natuur en vrijheid met comfort en bereikbaarheid. Of u hier nu permanent wilt wonen, werken, ondernemen of recreëren – de mogelijkheden zijn eindeloos.



Wilt u dit bijzondere object zelf ervaren? Wij nodigen u van harte uit voor een bezichtiging.



Algemeen

Deze informatie is door ons met de nodige zorgvuldigheid samengesteld. Onzerzijds wordt echter geen enkele aansprakelijkheid aanvaard voor enige onvolledigheid, onjuistheid of anderszins, dan wel de gevolgen daarvan. Koper heeft een onderzoeksplicht.

Kenmerken


Overdracht
Prijscode Vraagprijs
Vraagprijs € 895.000,00
Prijstype k.k.
Datum opdracht 2025-12-31
Aanvaarding In overleg
Status Verkocht onder voorbehoud

Oppervlaktes en inhoud
Gebruiksoppervlak wonen 200
Bruto inhoud m3 790
Oppervlakte externe bergruimten 30
Oppervlakte overige inp. ruimten 10
Oppervlakte gebouwgeb. buitenr. 90
Perceel oppervlakte 22805

Indeling
Aantal kamers 3
Aantal slaapkamers 2

Locatie
Ligging In bosrijke omgeving

Woning
Type woonhuis Vrijstaand
Soort woonhuis Herenhuis
Bouwjaar 1997